

- Possession Start DateNov'19
- StatusCompleted
- Total Area5 Acres
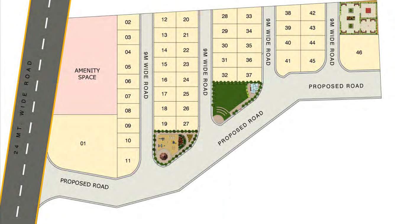
- Total Launched plots46
- Launch DateMar'16
- AvailabilityNew and Resale
- RERA IDP50500019742
Salient Features
- Schools, hospitals are situated in close vicinity
- Rachana mithila 2 in pipla, nagpur by rachana construction nagpur is a residential project
- The project offers land with perfect combination of contemporary architecture and features to provide comfortable living
- Landscape garden, children play area
More about Rachana Mithila 2
Rachana Construction has launched a housing initiative, Mithila 2, located at Chandrakiran Nagar in Nagpur. It offers plots for apartments, along with amenities like, children playground and landscaped gardens. The plots are available only from the developer. Situated in suburb Nagpur South, Chandrakiran Nagar is one of the topmost localities to have property in the city. Vimal Vidya Mandir, Adarsha Sanskar Vidyalaya, Gurukul English School, Small Wonder Convent, St. Paul School and College, are...View more
Rachana Mithila 2 Price List
| Area | Price |
|---|---|
| 1358 sq ft | - |
| 1417 sq ft | ₹ 24.09 L |
| 1518 sq ft | ₹ 25.81 L |
| 1537 sq ft | - |
| 1597 sq ft | ₹ 27.15 L |
| 1607 sq ft | - |
| 1664 sq ft | ₹ 28.29 L |
| 2389 sq ft | ₹ 40.61 L |
| 2503 sq ft | - |
| 2851 sq ft | ₹ 48.47 L |
| 3958 sq ft | ₹ 67.29 L |
| 16309 sq ft | - |
| 18086 sq ft | ₹ 3.07 Cr |
- Children's play area
- Senior Citizen Area, Entrance Area With Feature Wall
- Palm Avenue, Restroom
- Amphitheater
- Temple
- Paved Footpaths
- Internal Roads
- Sewage Treatment Plant
- Sand Pit, Separate Transformer
- Multipurpose & Seating Area
- Seating Under Trees
- Raised Seating Along Planters
- Pavement
- Green Pockets At Entrance
- 24X7 Water Supply
- Landscape Garden and Tree Planting
- Party Lawn
- Yoga/Meditation Area
- Gazebo
- Aggregate area of recreational Open Space
- Electrical Meter Room, Sub-Station, Receiving Station
- Landscaping & Tree Planting
- Storm Water Drains
- Street Lighting
- Water Conservation, Rain water Harvesting
Rachana Mithila 2 Gallery
About Rachana Construction

- Years of experience40
- Total Projects38
- Ongoing Projects8


















