


- Possession Start DateSep'14
- StatusCompleted
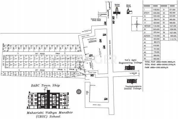
- Total Launched plots60
- Launch DateFeb'14
- AvailabilityResale
Salient Features
- Spacious properties
- Accessibility to key landmarks
- Famous for schools, malls, shopping, hospitals
More about Urban Sri Suriya Garden
Urban Chennai Sri Suriya Garden, located in Thalambur, Chennai, offers plots for apartments with the price being on request. There are a total of 60 units with the apartment sizes varying between 747 sq. ft. and 1204 sq. ft.This suburb of Chennai is located at just a few kilometres; distance from the much sought-after IT corridor of OMR, Chennai. The nearest railway station is Velachery at a distance of 13 kilometres while the Chennai airport is about 19.2 kilometres away. Zigma Matriculation Sc...View more
![HDFC (5244) HDFC (5244)]()
![Axis Bank Axis Bank]()
![PNB Housing PNB Housing]()
![Indiabulls Indiabulls]()
![Citibank Citibank]()
![DHFL DHFL]()
![L&T Housing (DSA_LOSOT) L&T Housing (DSA_LOSOT)]()
![IIFL IIFL]()
- + 3 more banksshow less
Urban Sri Suriya Garden Price List
| Area | Price |
|---|---|
| 747 sq ft | - |
| 882 sq ft | - |
| 1124 sq ft | - |
| 1204 sq ft | - |
- School
- Hospital
Urban Sri Suriya Garden Gallery
About Urban Chennai

- Total Projects6
- Ongoing Projects0



























